売地/富士見市上沢3丁目

1,390万円

埼玉県富士見市上沢3丁目

東武東上線「ふじみ野」駅徒歩17分

東武東上線「鶴瀬」駅徒歩18分

価格
1,390万円
土地面積(坪数)
75.07㎡(22.7坪)
所在地
埼玉県富士見市上沢3丁目
築年
-(-)
駐車
-
交通

東武東上線ふじみ野」駅 徒歩17分

東武東上線鶴瀬」駅 徒歩18分

売地/富士見市上沢3丁目の基本情報

物件名
売地/富士見市上沢3丁目
価格
1,390万円
土地面積
75.07㎡
築年月
-(-)
総区画数
1区画
所在地
埼玉県富士見市上沢3丁目
交通

東武東上線ふじみ野」駅 徒歩17分

東武東上線鶴瀬」駅 徒歩18分

売地/富士見市上沢3丁目の詳細情報

設備条件
設備(その他)
    -
駐車場/月額
-/-
土地権利
所有権
国土法届出
不要
用途地域
第一種低層住居専用
区画数
1区画 / 1戸
管理形態
-
管理員の勤務形態
-
管理会社
-
取引態様
仲介
引渡し
相談
開発許可番号
-
備考
売地/富士見市上沢3丁目:東武東上線ふじみ野駅にも近くて便利。建築条件なしなので、好きな業者や間取りを自分で選ぶことができます。土地購入をお考えの方にイチオシの売地がこちらです。富士見市エリアの住環境について、地域を知り尽くしているスタッフが適切にご案内いたします。不動産探しのことなら、どのようなことでもお気軽にお問い合わせください。

売地/富士見市上沢3丁目で募集中の物件

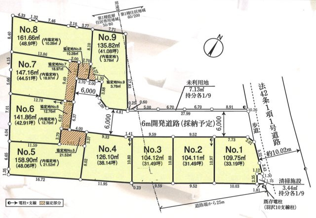
  1. 22.70坪 (75.07㎡)

    1,390万円(61.23万円/坪)

周辺施設

  • セブンイレブン 大井市沢店の画像

    コンビニエンスストア

    セブンイレブン 大井市沢店

    350m(5分)

  • ウエルシア富士見上沢店の画像

    ドラッグストア

    ウエルシア富士見上沢店

    600m(8分)

  • トナリエふじみ野の画像

    ショッピングセンター

    トナリエふじみ野

    700m(9分)

  • 富士見市立つるせ台小学校の画像

    小学校

    富士見市立つるせ台小学校

    750m(10分)

  • 生鮮市場田中青果大井店の画像

    スーパー

    生鮮市場田中青果大井店

    800m(10分)

  • エコス TAIRAYA(タイラヤ) 羽沢店の画像

    スーパー

    エコス TAIRAYA(タイラヤ) 羽沢店

    850m(11分)

  • 富士見市立富士見台中学校の画像

    中学校

    富士見市立富士見台中学校

    2300m(29分)

近隣の物件

  1. 富士見市羽沢2丁目

    - (109.75㎡)

    2,880万円

  2. 富士見市山室1丁目

    - (100.95㎡)

    2,780万円

  3. 富士見市大字上南畑

    - (200.00㎡)

    1,000万円

  4. 富士見市水谷東3丁目

    - (109.73㎡)

    2,190万円

よく見られている物件

  1. 川越市大字寺尾

    - (59.54㎡)

    780万円

  2. 富士見市渡戸3丁目

    - (103.75㎡)

    1,980万円

  3. 朝霞市根岸台3丁目

    - (117.50㎡)

    2,200万円

  4. 朝霞市岡3丁目

    - (167.15㎡)

    2,580万円

売地/富士見市上沢3丁目

お気軽にお問い合わせください

無料お問い合わせ

アルスビレッジ株式会社 みずほ台店

049-293-6941

9:30~18:00

(休:火・水曜日(土日祝日も営業中))