売地/富士見市羽沢2丁目 第10 全9区画

2,980万円

埼玉県富士見市羽沢2丁目

東武東上線「鶴瀬」駅徒歩18分

東武東上線「ふじみ野」駅徒歩23分

東武東上線「みずほ台」駅徒歩33分

価格
2,980万円
土地面積(坪数)
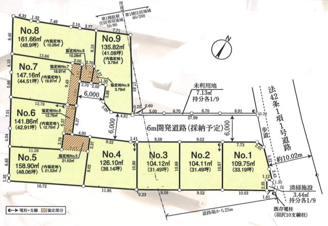
104.11㎡~104.12㎡(31.49坪)
所在地
埼玉県富士見市羽沢2丁目
築年
-(-)
駐車
-
交通

東武東上線鶴瀬」駅 徒歩18分

東武東上線ふじみ野」駅 徒歩23分

東武東上線みずほ台」駅 徒歩33分

売地/富士見市羽沢2丁目 第10 全9区画の基本情報

物件名
売地/富士見市羽沢2丁目 第10 全9区画
価格
2,980万円
土地面積
104.11㎡~104.12㎡
築年月
-(-)
総区画数
9区画
所在地
埼玉県富士見市羽沢2丁目
交通

東武東上線鶴瀬」駅 徒歩18分

東武東上線ふじみ野」駅 徒歩23分

東武東上線みずほ台」駅 徒歩33分

売地/富士見市羽沢2丁目 第10 全9区画の詳細情報

設備条件
設備(その他)
    雨水浸透式
駐車場/月額
-/-
土地権利
所有権
国土法届出
不要
用途地域
第一種低層住居専用/第一種住居
区画数
9区画 / 9戸
管理形態
-
管理員の勤務形態
-
管理会社
-
取引態様
仲介
引渡し
相談
開発許可番号
指令冨建第0700450号
備考
「売地/富士見市羽沢2丁目 第10 全9区画」のここがイチオシ。便利なスーパー「ミニコープ 羽沢店」まで119mです。周辺環境の良い売地ですので、土地購入をご検討の方におすすめです。こちらの土地面積は104.11㎡で一押しです。信頼と実績のアルスビレッジ みずほ台店が、不動産を探すお客様に適切にサポート・アドバイスをいたします。まずはお気軽にお問い合わせください。

売地/富士見市羽沢2丁目 第10 全9区画で募集中の物件

  1. 2号地

    31.49坪 (104.11㎡)

    2,980万円(94.63万円/坪)

  2. 3号地

    31.49坪 (104.12㎡)

    2,980万円(94.63万円/坪)

周辺施設

  • セブンイレブン 富士見羽沢1丁目店の画像

    コンビニエンスストア

    セブンイレブン 富士見羽沢1丁目店

    67m(1分)

  • ミニコープ 羽沢店の画像

    スーパー

    ミニコープ 羽沢店

    119m(2分)

  • 渡戸どんぐり公園の画像

    公園

    渡戸どんぐり公園

    265m(4分)

  • 栗原医院の画像

    内科

    栗原医院

    343m(5分)

  • 富士見市立鶴瀬小学校の画像

    小学校

    富士見市立鶴瀬小学校

    448m(6分)

  • ドラッグストア セキ 羽沢店の画像

    ドラッグストア

    ドラッグストア セキ 羽沢店

    555m(7分)

  • エコス TAIRAYA(タイラヤ) 羽沢店の画像

    スーパー

    エコス TAIRAYA(タイラヤ) 羽沢店

    605m(8分)

  • ドラッグエース 羽沢店の画像

    ドラッグストア

    ドラッグエース 羽沢店

    621m(8分)

  • きたはら幼稚園の画像

    幼稚園

    きたはら幼稚園

    877m(11分)

  • 富士見すくすく保育園の画像

    保育園

    富士見すくすく保育園

    883m(12分)

  • 富士見市役所の画像

    市役所・区役所

    富士見市役所

    1251m(16分)

  • 富士見市民文化会館キラリ☆ふじみの画像

    その他

    富士見市民文化会館キラリ☆ふじみ

    1335m(17分)

  • 富士見市立勝瀬中学校の画像

    中学校

    富士見市立勝瀬中学校

    1385m(18分)

  • ららぽーと富士見の画像

    ショッピングセンター

    ららぽーと富士見

    1491m(19分)

  • イムス富士見総合病院の画像

    総合病院

    イムス富士見総合病院

    1756m(22分)

近隣の物件

  1. 富士見市大字水子

    - (96.63㎡)

    1,980万円

  2. 富士見市渡戸3丁目

    - (100.01㎡)

    1,470万円

  3. 富士見市水谷東2丁目

    - (137.36㎡)

    2,499万円

  4. 富士見市大字鶴馬

    - (278.01㎡)

    2,180万円

よく見られている物件

  1. 川越市大字寺尾

    - (59.54㎡)

    780万円

  2. 富士見市渡戸3丁目

    - (103.75㎡)

    1,980万円

  3. 富士見市上沢3丁目

    - (75.07㎡)

    1,390万円

  4. 富士見市渡戸3丁目

    - (100.01㎡)

    1,470万円

売地/富士見市羽沢2丁目 第10 全9区画

お気軽にお問い合わせください

無料お問い合わせ

アルスビレッジ株式会社 みずほ台店

049-293-6941

9:30~18:00

(休:火・水曜日(土日祝日も営業中))