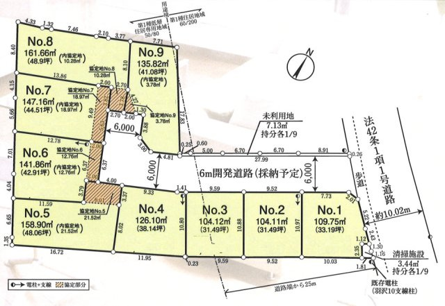
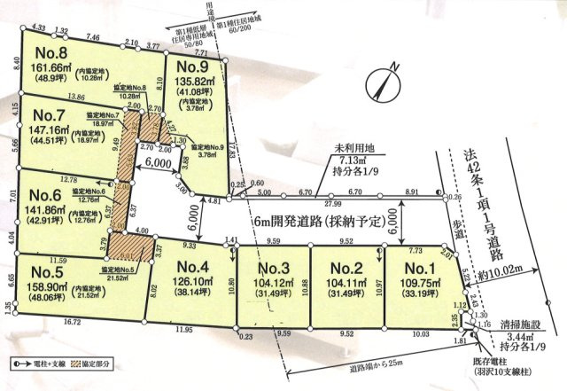
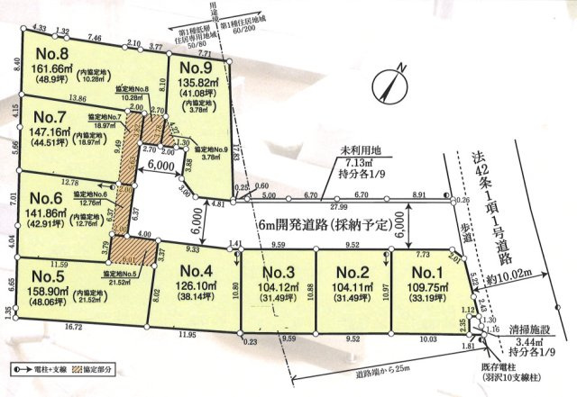
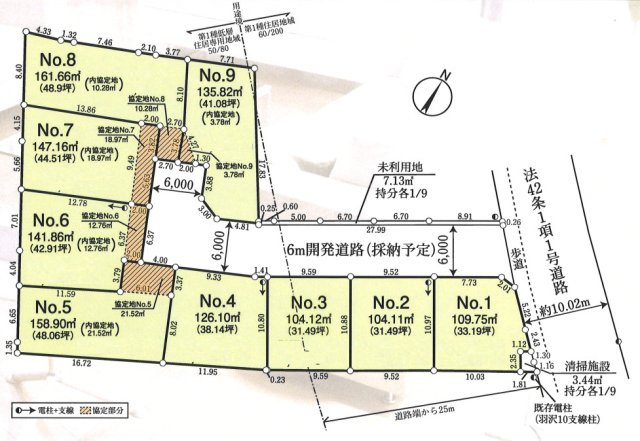
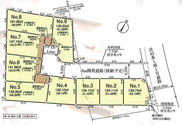
売地/富士見市羽沢2丁目 第10 全9区画

2,880万円~3,380万円

埼玉県富士見市羽沢2丁目

東武東上線「鶴瀬」駅徒歩18分

東武東上線「ふじみ野」駅徒歩23分

東武東上線「みずほ台」駅徒歩33分

価格
2,880万円~3,380万円
土地面積(坪数)
109.75㎡~161.66㎡(33.19坪~48.9坪)
所在地
埼玉県富士見市羽沢2丁目
築年
-(-)
駐車
-
交通

東武東上線鶴瀬」駅 徒歩18分

東武東上線ふじみ野」駅 徒歩23分

東武東上線みずほ台」駅 徒歩33分

売地/富士見市羽沢2丁目 第10 全9区画の基本情報

物件名
売地/富士見市羽沢2丁目 第10 全9区画
価格
2,880万円~3,380万円
土地面積
109.75㎡~161.66㎡
築年月
-(-)
総区画数
9区画
所在地
埼玉県富士見市羽沢2丁目
交通

東武東上線鶴瀬」駅 徒歩18分

東武東上線ふじみ野」駅 徒歩23分

東武東上線みずほ台」駅 徒歩33分

売地/富士見市羽沢2丁目 第10 全9区画の詳細情報

設備条件
設備(その他)
    雨水浸透式
駐車場/月額
-/-
土地権利
所有権
国土法届出
不要
用途地域
第一種低層住居専用/第一種住居
区画数
9区画 / 9戸
管理形態
-
管理員の勤務形態
-
管理会社
-
取引態様
仲介
引渡し
相談
開発許可番号
指令冨建第0700450号

売地/富士見市羽沢2丁目 第10 全9区画で募集中の物件

  1. 1号地

    33.19坪 (109.75㎡)

    2,880万円(86.77万円/坪)

  2. 4号地

    38.14坪 (126.10㎡)

    3,180万円(83.38万円/坪)

  3. 6号地

    42.91坪 (141.86㎡)

    3,180万円(74.11万円/坪)

  4. 7号地

    44.51坪 (147.16㎡)

    3,180万円(71.44万円/坪)

  5. 9号地

    41.08坪 (135.82㎡)

    3,280万円(79.84万円/坪)

  6. 5号地

    48.06坪 (158.90㎡)

    3,380万円(70.33万円/坪)

  7. 8号地

    48.90坪 (161.66㎡)

    3,380万円(69.12万円/坪)

周辺施設

  • セブンイレブン 富士見羽沢1丁目店の画像

    コンビニエンスストア

    セブンイレブン 富士見羽沢1丁目店

    66m(1分)

  • ミニコープ 羽沢店の画像

    スーパー

    ミニコープ 羽沢店

    120m(2分)

  • 渡戸どんぐり公園の画像

    公園

    渡戸どんぐり公園

    266m(4分)

  • 栗原医院の画像

    内科

    栗原医院

    344m(5分)

  • 富士見市立鶴瀬小学校の画像

    小学校

    富士見市立鶴瀬小学校

    447m(6分)

  • ドラッグストア セキ 羽沢店の画像

    ドラッグストア

    ドラッグストア セキ 羽沢店

    554m(7分)

  • エコス TAIRAYA(タイラヤ) 羽沢店の画像

    スーパー

    エコス TAIRAYA(タイラヤ) 羽沢店

    604m(8分)

  • ドラッグエース 羽沢店の画像

    ドラッグストア

    ドラッグエース 羽沢店

    620m(8分)

  • きたはら幼稚園の画像

    幼稚園

    きたはら幼稚園

    876m(11分)

  • 富士見すくすく保育園の画像

    保育園

    富士見すくすく保育園

    882m(12分)

  • 富士見市役所の画像

    市役所・区役所

    富士見市役所

    1250m(16分)

  • 富士見市民文化会館キラリ☆ふじみの画像

    その他

    富士見市民文化会館キラリ☆ふじみ

    1334m(17分)

  • 富士見市立勝瀬中学校の画像

    中学校

    富士見市立勝瀬中学校

    1386m(18分)

  • ららぽーと富士見の画像

    ショッピングセンター

    ららぽーと富士見

    1490m(19分)

  • イムス富士見総合病院の画像

    総合病院

    イムス富士見総合病院

    1755m(22分)

近隣の物件

  1. 富士見市大字水子

    - (96.63㎡)

    1,980万円

  2. 富士見市渡戸3丁目

    - (100.01㎡)

    1,470万円

  3. 富士見市水谷東2丁目

    - (137.36㎡)

    2,499万円

  4. 富士見市大字鶴馬

    - (278.01㎡)

    2,180万円

よく見られている物件

  1. 川越市大字寺尾

    - (59.54㎡)

    780万円

  2. 富士見市渡戸3丁目

    - (103.75㎡)

    1,980万円

  3. 富士見市上沢3丁目

    - (75.07㎡)

    1,390万円

  4. 富士見市渡戸3丁目

    - (100.01㎡)

    1,470万円

売地/富士見市羽沢2丁目 第10 全9区画

お気軽にお問い合わせください

無料お問い合わせ

アルスビレッジ株式会社 みずほ台店

049-293-6941

9:30~18:00

(休:火・水曜日(土日祝日も営業中))